Vicia narbonensis L.

← Torna alla tua ricerca

Fabaceae - Vicia narbonensis L.; Pignatti 1982: n. 1721; Vicia narbonensis L.
Plant List: accettato
La scheda di questa specie è in allestimento, ma puoi consultare tutte le altre informazioni disponibili.
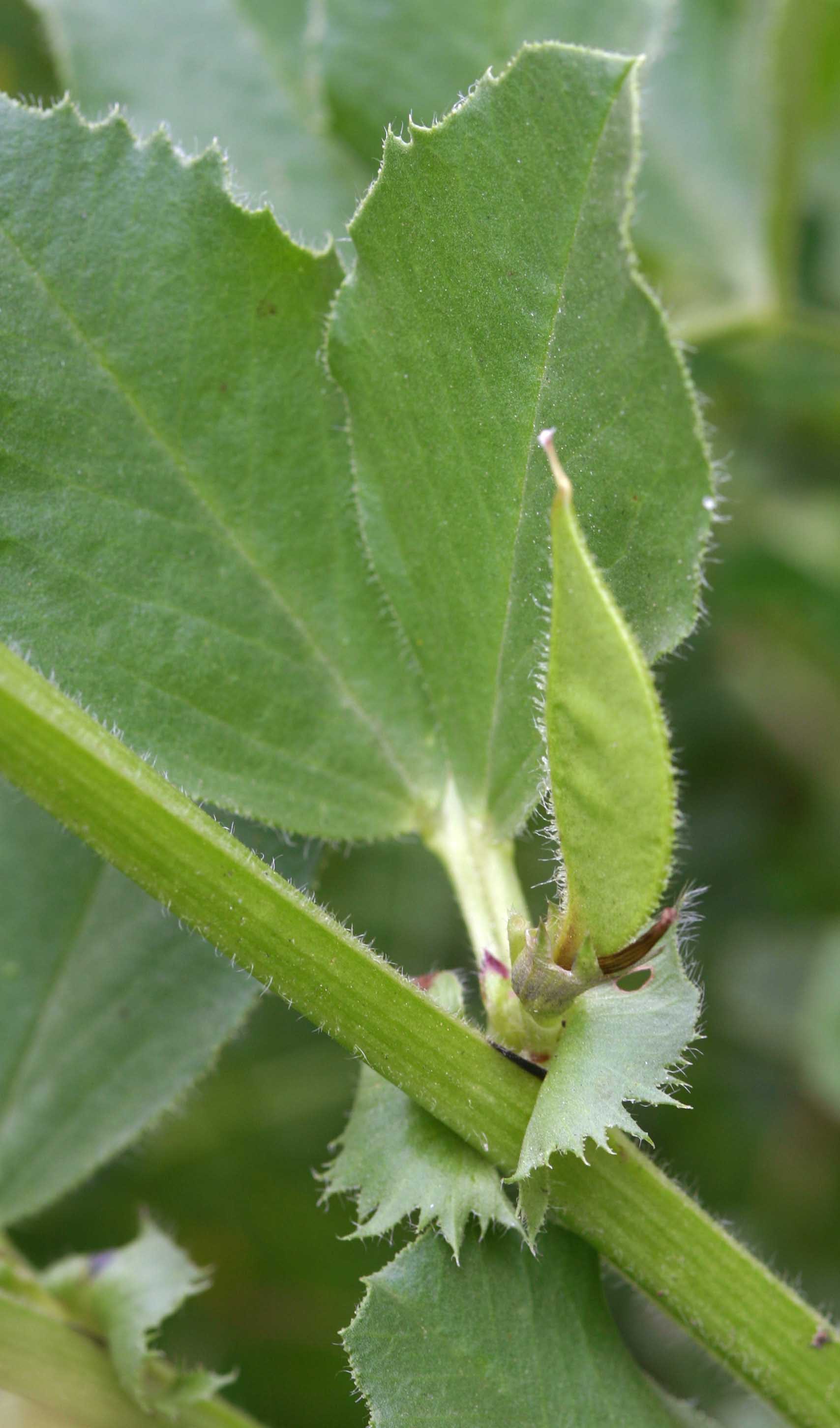
R. Guarino, Baxiniedda, Jerzu, 02-05-2004
R. Guarino, Baxiniedda, Jerzu, 02-05-2004
R. Guarino, Baxiniedda, Jerzu, 02-05-2004
R. Guarino, Baxiniedda, Jerzu, 02-05-2004
R. Guarino, Mandra Puddata, Badde Salighes, Bolotana, 30-05-2004
L. Scuderi, Santa Ninfa, Trapani, 14-04-2008
L. Scuderi, Santa Ninfa, Trapani, 14-04-2008
G. Pellegrino, - http:\\floramarittime.it -, Sospel, Alpi Marittime Francesi, Francia, 09-05-2008

Distribuzione


■ autoctona ■ alloctona ■ incerta ■ scomparsa ■ assente

Caratteristiche

Relazioni con l'uomo
[ C ] C: specie di interesse alimentare e/o aromatico
Biologia riproduttiva

ER (ermafrodita): specie con organi maschili e femminili riuniti nel medesimo fiore.

[ EP - BC+AUC1 ] EP (entomofilia): Il polline è trasportato da insetti, che vengono indotti a visitare il fiore con svariate strategie di richiamo, con o senza ricompensa; AUC1 (autocoria balistica): I semi vengono lanciati dalla pianta stessa; BC (barocoria): I semi relativamente pesanti, da soli o dentro i frutti, cadono per gravità a maturità o dopo un periodo di postmaturazione.

Indici di Ellenberg

Salinità: 0

L: 7; T: 8; C: 5; U: 3; R: 5; N: 5;

← Torna alla tua ricerca